$22,000 / 109000ft2 - LAND FOR SALE 2.5 ACRES (LANCASTER, CA.)
1 / 3

Listing Details

Agricultural Land with R-2 Zoning in Antelope Acres

Overview

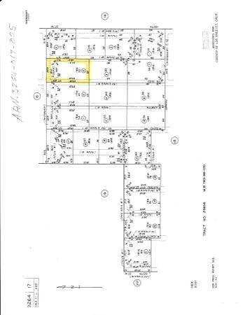
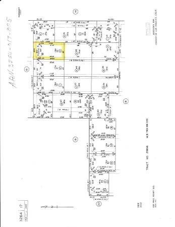
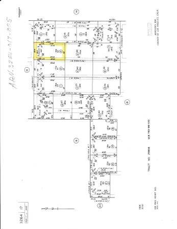
This listing is for 2.5 acres of agricultural land located in Antelope Acres at the intersection of 101th Street West and E-8 Avenue. The property features R-2 zoning (Assessor's Parcel Number: 3261-024-03), presenting an opportunity for residential development with agricultural use.


Features / Amenities

  • 2.5 acres of agricultural land.
  • R-2 Zoning allows for residential development with outbuildings.
  • Ideal for keeping large or small livestock.
  • Perfect for cultivating personal vegetable gardens.
  • Serene location offering a peaceful country lifestyle.

Contact Information

For additional details, questions, or to schedule a viewing, please call or email the lister using the contact method provided in the original advertisement.

Location

California
housing/​real estate for sale

$22,000 / 109000ft2 - LAND FOR SALE 2.5 ACRES (LANCASTER, CA.)

California
$22,000
V

Virginia Jackson

Share this Listing